Sassenheim – Concordiastraat 19

Concordiastraat 19

2171 GK

SASSENHEIM

€ 315.000,-
k.k.

Unieke kluswoning met voor-, zij-, en achtertuin te koop in het centrum van Sassenheim. Omdat de woning opgeknapt moet worden, is de prijs ideaal voor een koper.

Het betreft een kluswoning met volop potentie op eigen grond. De woning wordt “As It Is” verkocht en opgeleverd. Perfect voor wie handig is, in de bouw werkt, of zijn/haar eigen droomwoning wilt realiseren. Met een beetje inzet maak je hier jouw ideale thuis.

Deze woning is gelegen in het centrum van Sassenheim en op loopafstand van alle winkels, zorgfaciliteiten, scholen, het voorname park Rusthoff alsmede gezellige cafeetjes en restaurantjes.

Indeling: entree, hal, woonkamer, tussenhal met trapkast, badkamerruimte met toilet en een keukenruimte met een eenvoudig keukenblok.
Eerste etage: Vaste trap aanwezig naar de eerste etage met een overloop en een slaapkamer welke is v.v. meerdere inbouwkasten en een dakkapel.

Buiten: grote en zonnige voor- en zijtuin met stenen schuur en een achterom.

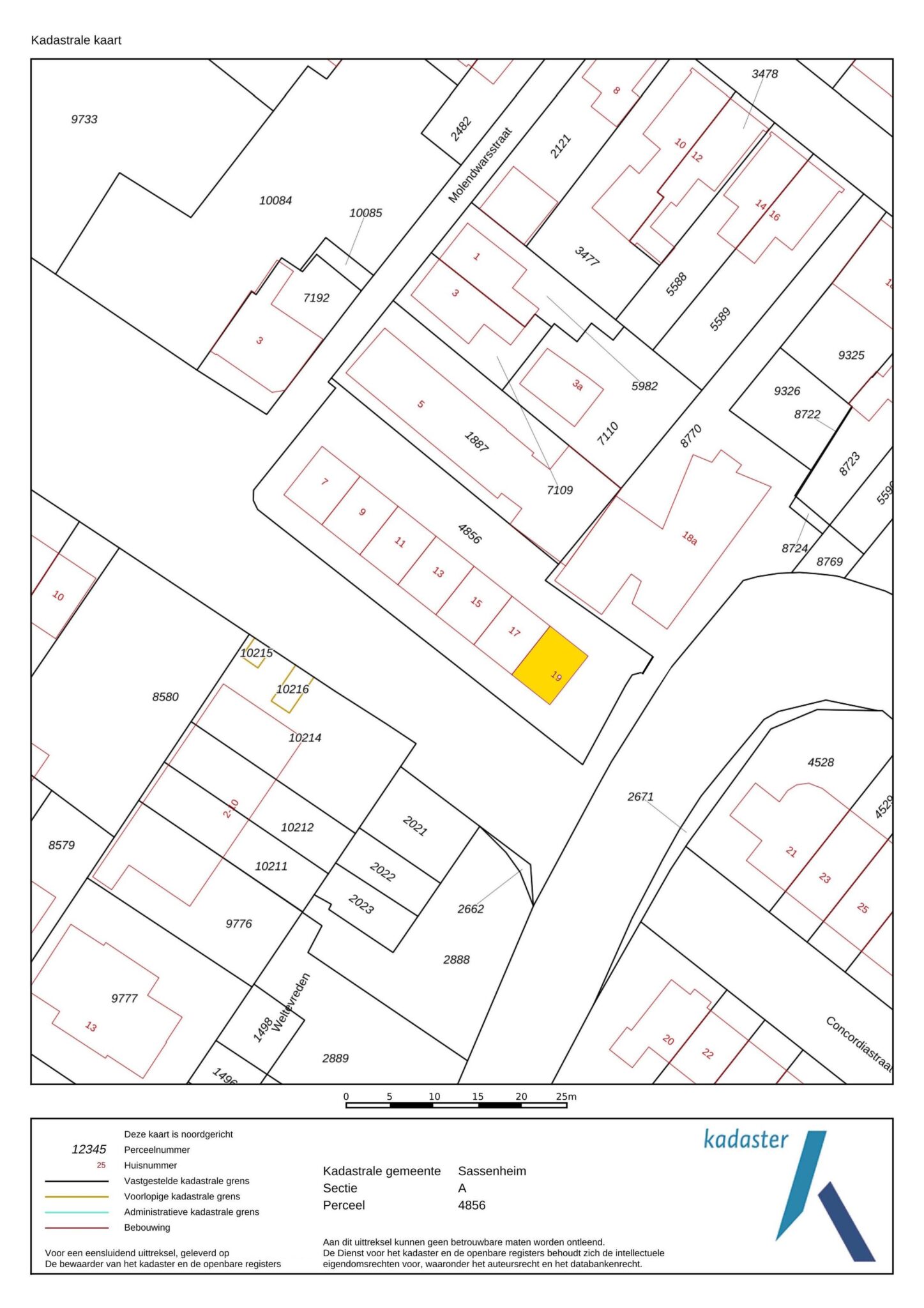
Gunstige tuinligging aan doorgaand vaarwater op een grote kavel van ca. 150 m2. Het is uniek om te wonen aan open vaarwater naar De Kaag en het centrum van Leiden. De kade biedt goede mogelijkheden voor het aanleggen van jouw boot en is perfect voor liefhebbers van varen en het buitenleven. Hier kan je optimaal van het buitenleven genieten.

Deze woning ligt direct aan het water. We hebben bij de gemeente nagevraagd hoe het zit met het innemen van een ligplaats. Dit mag alleen wanneer het water grenst aan het eigen perceel. Dat betekent dat het hier alleen is toegestaan als de kade juridisch hoort bij nummer 19. Om dit zeker te weten heeft het Kadaster dit meegenomen tijdens het recent inmeten van de percelen. Zodra de resultaten binnen zijn, weten we of de kade inderdaad bij nummer 19 hoort. Als dat niet zo is, dan is een ligplaats alleen mogelijk met een vergunning van de gemeente. Voor meer informatie hierover kunt u bij de gemeente terecht.

Bijzonderheden:
• Kluswoning voor een interessante prijs;
• Bijzonder geschikt om uw eigen woonstijl te creëren;
• Gelegen met een voor-, zij-, en achtertuin op eigen grond;
• De woning is snel te aanvaarden;
• Gunstige ligging in het centrum en op loopafstand van alle voorzieningen;
• Een huurder die een sociale huurwoning van Stek achterlaat of bij zijn/haar ouders in een Stek-woning woont
krijgt voorrang;
• Deze woning is bestemd voor zelfbewoning voor een periode van minimaal 2 jaar;
• As-It-Is clausule, asbestclausule, niet-bewonersclausule en een anti speculatiebeding worden in de koopakte
opgenomen;
• In verband met het vestigen van erfdienstbaarheden e.d. zal de notariële overdracht plaats vinden bij
Notariskantoor Boon te Lisse;
• Energielabel G;
• Sluiting inschrijvingstermijn is maandag 02 maart 2026 om 12:00 uur.

Sta je te popelen om hier jouw eigen sfeervolle droomwoning van te maken? Neem geheel vrijblijvend contact op voor een bezichtiging ter plaatse.

Lees de volledige omschrijving

Kenmerken

Adres Concordiastraat 19
Postcode 2171 GK
Plaats SASSENHEIM
Koopprijs € 315.000,-
Bouwjaar 1950
Woonoppervlakte 51 m2
Perceeloppervlakte 160 m2
Kamers 2
Slaapkamers 1
Energielabel

Plattegronden

JEL_7666klv
Marc van BeekRegister Makelaar en Register Taxateur

Is dit jouw droomwoning?

Neem contact op voor meer informatie of een bezichtiging.

Met 6 NVM-makelaars en 7 ondersteuners is er altijd iemand voor je beschikbaar, zodat we je persoonlijk verder kunnen helpen.

Veelgestelde vragen

Ook bij het kopen van een woonhuis of appartement is er een zekere consumentenbescherming. Dit betekent dat je als koper ook na het sluiten van de koopovereenkomst nog zonder opgave van redenen van de koop kan afzien. Dit is de wettelijke bedenktijd en geldt voor een periode van 3 werkdagen. Deze periode gaat in op het moment dat je als koper een kopie van de volledig getekende koopovereenkomst hebt ontvangen. De periode kan niet eindigen in het weekend en er mag maximaal 1 weekenddag meegeteld worden. Stel je ontvangt op donderdag een kopie van de volledig getekende koopovereenkomst. Dan eindigt je bedenktijd op maandag om 23.59 uur. Vrijdag is dag 1, weekend is dag 2 en maandag is dag 3. Er is niet bepaald hoe je de bedenktijd moet inroepen. Een simpel belletje zou dus al voldoende zijn. Wij adviseren je om in het geval je de bedenktijd wilt inroepen dit altijd schriftelijk te doen. Zo kan er nooit betwist worden of je het hebt ingeroepen en of je op tijd was.
Bij de onderhandeling kun je ontbindende voorwaarden meenemen. Een bekende ontbindende voorwaarde is de ontbindende voorwaarde voor het rondkrijgen van je hypotheek, al dan niet met Nationale Hypotheek Garantie. De overeengekomen ontbindende voorwaarde(n) worden vastgelegd in de koopovereenkomst. Wanneer je een ontbindende voorwaarde voor het verkrijgen van je hypotheek bent overeengekomen dan is daaraan ook een bedrag gekoppeld. Stel je hebt een hypotheek van € 300.000,- nodig om de woning te kunnen betalen, dan staat in de koopovereenkomst dat je de koop kunt ontbinden als er geen geldverstrekker is die je € 300.000,- wil financieren. Dit zal je echter wel goed gedocumenteerd moeten doen. Je moet kunnen aantonen dat je al het redelijk mogelijke hebt gedaan om de benodigde financiering te verkrijgen en je moet een afwijzing van de hypotheekaanvraag kunnen overleggen. Een ontbindende voorwaarde is altijd voor een bepaalde termijn. Houd deze termijn goed in de gaten, is de datum verstreken dan kun je geen beroep meer doen op de betreffende ontbindende voorwaarde. Op dat moment is de koop definitief. Andere bekende ontbindende voorwaarden zijn een bouwkundige keuring, het verkrijgen van een toestemming of vergunning voor een verbouwing of bijvoorbeeld een asbestonderzoek.
Simpel gezegd zijn roerende zaken die zaken die niet aard en nagelvast zitten. Over sommige zaken bestaat hierover geen twijfel, bijvoorbeeld een keuken. Maar let op, want losse keukenapparatuur is dan weer wel een roerende zaak. Bij aankoop van een huis of appartement maak je afspraken over deze roerende zaken, zodat achteraf geen discussie kan ontstaan over wat er wel en niet bij de woning zou achterblijven. Wij gebruiken hiervoor een zogeheten ‘Lijst van Zaken’. Die laten wij voorafgaand aan de verkoop door de verkoper invullen en voegen we bij de verkoopdocumentatie. Zo weet je als koper voordat je overeenstemming hebt met de verkoper welke zaken er wel en niet achterblijven.  Soms staan er op deze lijst roerende zaken ‘ter overname’. Wanneer je die als koper niet overneemt of hierover expliciet afspraken maakt, zal de verkoper deze zaken meenemen.
De dag waarop je de sleutel ontvangt, noemen wij de datum van oplevering. Op die dag ga je samen met de verkoper naar de notaris waarbij het eigendom officieel wordt overgedragen. Dit is het moment waarop de koper de woning betaalt en de verkoper de koopsom ontvangt. Na deze officiële handeling zul je als koper de sleutels ontvangen. Er is geen vaste termijn waarbinnen je als koper de sleutels krijgt, dit is afhankelijk van wat je als koper en verkoper met elkaar hebt afgesproken. Deze datum wordt vastgelegd in de koopovereenkomst en is onderdeel van de onderhandeling.
Van der Meer team

We helpen je graag met al je woonwensen.

Verstuurd!

Je bericht is verstuurd en we nemen zo snel mogelijk contact met je op.