Warmond – Oranje Nassaulaan 12

Oranje Nassaulaan 12

2361 LC

WARMOND

€ 7.500.000,-
k.k.

Rijksmonumentaal Landhuis ‘Hagheweyde’ – Een unieke buitenplaats met directe vaarverbinding vanuit uw eigen boothuis naar de Kagerplassen.
Een zeldzame kans om eigenaar te worden van één van de meest karakteristieke landhuizen van Warmond!

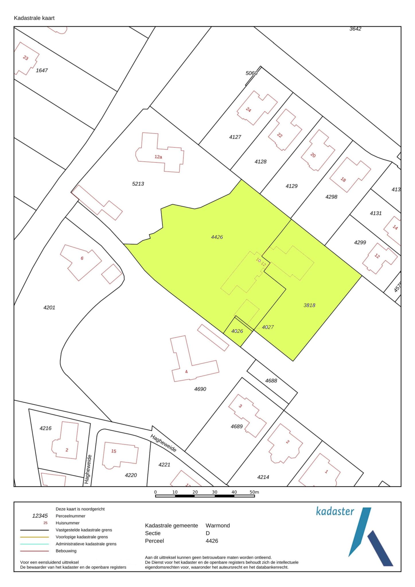
Achter het statige toegangshek ontvouwt zich een wereld van rust, ruimte en verfijning. Deze buitenplaats met binnenzwembad, wellness, gastenverblijf, garage voor meerdere auto’s en boothuis, gelegen op maar liefst 5.750 m² eigen grond met directe vaarverbinding naar de Kagerplassen, ademt de sfeer van een vervlogen tijd – gecombineerd met het comfort van nu.

Historie & Architectuur
Het landhuis werd in 1912 ontworpen door het gerenommeerde architectenbureau Smits & Fels uit ’s-Gravenhage, in opdracht van Georg Lodewijk de Wetstein Pfister. Het ontwerp in Engelse Landhuisstijl weerspiegelt de elegantie van het begin van de twintigste eeuw.

De later toegevoegde royale vleugel – met onder meer het zwembad, wellnessruimte en gastenverblijf – maakt dit tot een thuis waar historie en hedendaagse luxe harmonieus samenkomen.

Wonen, werken en genieten
Met een vloeroppervlak van circa 750 m² biedt ‘Hagheweyde’ ongekende mogelijkheden. Of u nu droomt van een familiehuis met ruimte voor gasten, een combinatie van wonen en werken, of een representatieve residentie waar stijl en comfort samenkomen.

Locatie
Warmond, direct grenzend aan de levendige stad Leiden, biedt het beste van twee werelden: landelijke rust en stedelijke nabijheid. Omgeven door water, natuur en monumentale panden is het dorp geliefd bij watersporters en levensgenieters. Binnen korte tijd bereikt u Amsterdam, Den Haag of Schiphol, terwijl u dagelijks kunt genieten van de charme van een pittoresk dorp met rijke cultuur, historie emaan gezellige horeca. Een veilige en rustige leefomgeving met winkels, diverse (internationale) basis- en middelbare scholen en sportvoorzieningen op korte afstand.

Lees de volledige omschrijving

Kenmerken

Adres Oranje Nassaulaan 12
Postcode 2361 LC
Plaats WARMOND
Koopprijs € 7.500.000,-
Bouwjaar 1912
Woonoppervlakte 741 m2
Perceeloppervlakte 5750 m2
Kamers 16
Slaapkamers 7

Plattegronden

JEL_7979klv1
Geert-Jan MoermanRegister Makelaar en Register Taxateur

Is dit jouw droomwoning?

Neem contact op voor meer informatie of een bezichtiging.

Met 6 NVM-makelaars en 7 ondersteuners is er altijd iemand voor je beschikbaar, zodat we je persoonlijk verder kunnen helpen.

Veelgestelde vragen

Ook bij het kopen van een woonhuis of appartement is er een zekere consumentenbescherming. Dit betekent dat je als koper ook na het sluiten van de koopovereenkomst nog zonder opgave van redenen van de koop kan afzien. Dit is de wettelijke bedenktijd en geldt voor een periode van 3 werkdagen. Deze periode gaat in op het moment dat je als koper een kopie van de volledig getekende koopovereenkomst hebt ontvangen. De periode kan niet eindigen in het weekend en er mag maximaal 1 weekenddag meegeteld worden. Stel je ontvangt op donderdag een kopie van de volledig getekende koopovereenkomst. Dan eindigt je bedenktijd op maandag om 23.59 uur. Vrijdag is dag 1, weekend is dag 2 en maandag is dag 3. Er is niet bepaald hoe je de bedenktijd moet inroepen. Een simpel belletje zou dus al voldoende zijn. Wij adviseren je om in het geval je de bedenktijd wilt inroepen dit altijd schriftelijk te doen. Zo kan er nooit betwist worden of je het hebt ingeroepen en of je op tijd was.
Bij de onderhandeling kun je ontbindende voorwaarden meenemen. Een bekende ontbindende voorwaarde is de ontbindende voorwaarde voor het rondkrijgen van je hypotheek, al dan niet met Nationale Hypotheek Garantie. De overeengekomen ontbindende voorwaarde(n) worden vastgelegd in de koopovereenkomst. Wanneer je een ontbindende voorwaarde voor het verkrijgen van je hypotheek bent overeengekomen dan is daaraan ook een bedrag gekoppeld. Stel je hebt een hypotheek van € 300.000,- nodig om de woning te kunnen betalen, dan staat in de koopovereenkomst dat je de koop kunt ontbinden als er geen geldverstrekker is die je € 300.000,- wil financieren. Dit zal je echter wel goed gedocumenteerd moeten doen. Je moet kunnen aantonen dat je al het redelijk mogelijke hebt gedaan om de benodigde financiering te verkrijgen en je moet een afwijzing van de hypotheekaanvraag kunnen overleggen. Een ontbindende voorwaarde is altijd voor een bepaalde termijn. Houd deze termijn goed in de gaten, is de datum verstreken dan kun je geen beroep meer doen op de betreffende ontbindende voorwaarde. Op dat moment is de koop definitief. Andere bekende ontbindende voorwaarden zijn een bouwkundige keuring, het verkrijgen van een toestemming of vergunning voor een verbouwing of bijvoorbeeld een asbestonderzoek.
Simpel gezegd zijn roerende zaken die zaken die niet aard en nagelvast zitten. Over sommige zaken bestaat hierover geen twijfel, bijvoorbeeld een keuken. Maar let op, want losse keukenapparatuur is dan weer wel een roerende zaak. Bij aankoop van een huis of appartement maak je afspraken over deze roerende zaken, zodat achteraf geen discussie kan ontstaan over wat er wel en niet bij de woning zou achterblijven. Wij gebruiken hiervoor een zogeheten ‘Lijst van Zaken’. Die laten wij voorafgaand aan de verkoop door de verkoper invullen en voegen we bij de verkoopdocumentatie. Zo weet je als koper voordat je overeenstemming hebt met de verkoper welke zaken er wel en niet achterblijven.  Soms staan er op deze lijst roerende zaken ‘ter overname’. Wanneer je die als koper niet overneemt of hierover expliciet afspraken maakt, zal de verkoper deze zaken meenemen.
De dag waarop je de sleutel ontvangt, noemen wij de datum van oplevering. Op die dag ga je samen met de verkoper naar de notaris waarbij het eigendom officieel wordt overgedragen. Dit is het moment waarop de koper de woning betaalt en de verkoper de koopsom ontvangt. Na deze officiële handeling zul je als koper de sleutels ontvangen. Er is geen vaste termijn waarbinnen je als koper de sleutels krijgt, dit is afhankelijk van wat je als koper en verkoper met elkaar hebt afgesproken. Deze datum wordt vastgelegd in de koopovereenkomst en is onderdeel van de onderhandeling.
Van der Meer team

We helpen je graag met al je woonwensen.

Verstuurd!

Je bericht is verstuurd en we nemen zo snel mogelijk contact met je op.